リクエストのコダマタツです。
お客さん、今回はちゃんと撮れたそうです。
天気:曇り 気温:18~21℃ 水温:22℃ 透明度:25m
2本目はクジラの歌声がガンガンでした♪♪♪

浅場のギンガメアジ。
潮上に向かって整列していました。

深場のギンガメアジ。
ちょっとトルネード気味。

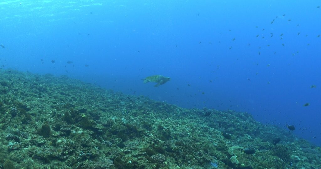
ギンガメ見てたらいきなりアカウミガメ登場!
楽しかった~

ゴシキエビ

Wアーチ

でっかいイソマグロ来たーー

ウコンハネガイ

マダラタルミ

アオギハゼ

アオウミガメ

キンメモドキ

ハナゴンベ

ハマクマノミ

ヒオドシベラ幼魚

